Liputan6.com, Manila - Topan dahsyat menghantam pulau-pulau paling utara Filipina dan mengakibatkan beberapa wilayah mengalami kebanjiran dan tanpa listrik serta menggusur ribuan orang, kata pihak berwenang pada Minggu 12 September.
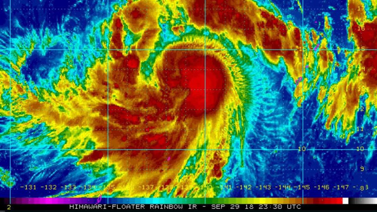
Melansir dari Channel News Asia, topan Chanthu, yang dikategorikan oleh biro cuaca Filipina sebagai badai kategori lima, telah melemah setelah melanda wilayah paling utara, termasuk pulau Batanes, pada Sabtu kemarin kata biro cuaca.
Advertisement
"Ini salah satu topan terkuat yang pernah saya rasakan," kata Dennis Ballesteros Valdez, penduduk kota Sabtang di provinsi Batanes, yang sering dilanda topan kuat.
"Itu bisa lebih merusak jika rumah-rumah itu tidak dibangun dengan pondasi kuat," kata Dennis.
* Untuk mengetahui kebenaran informasi yang beredar, silakan WhatsApp ke nomor 0811 9787 670 hanya dengan ketik kata kunci yang diinginkan.
Topan lekima yang menerjang China memakan puluhan korban jiwa dan merusak bangunan dan rumah warga setempat. Sejumlah momen dramatis tertangkap kamera saat bencana terjadi.
Dikategorikan Sebagai Badai Kategori 3
Rekaman yang diambil oleh Dennis menunjukkan angin kencang dan hujan menerjang rumah-rumah di Sabtang pada Sabtu pagi kemarin.
Lebih dari 11.000 orang terkena dampak topan, dengan lebih dari 1.000 masih berada di pusat-pusat evakuasi. Sementara itu, belum ada korban yang dilaporkan, kata badan bencana Filipina dalam sebuah laporan.
Chanthu telah diturunkan ke kategori tiga karena menyapu Taiwan dan membasahi pulau Batanes dengan hujan lebat.
Sekitar 20 topan melanda Filipina rata-rata setiap tahun, menurut otoritas cuaca.
Reporter: Cindy Damara
Advertisement
:strip_icc()/kly-media-production/medias/4706935/original/089011800_1704435899-cek_fakta_nila.jpg)
:strip_icc()/kly-media-production/medias/5448561/original/026937800_1766032935-Cek_Fakta_Tidak_Benar_Ini_Link_Pendaftaran_-_2025-12-18T104853.041.jpg)
:strip_icc()/kly-media-production/medias/4833411/original/064255800_1715834842-cek_fakta_sendi.jpg)
:strip_icc()/kly-media-production/medias/5065562/original/046052700_1735114554-000_36RG2Q6.jpg)
:strip_icc()/kly-media-production/medias/2372144/original/079118500_1538458171-image.jpg)
:strip_icc()/kly-media-production/medias/3565817/original/023431100_1631151587-AP21250413284745.jpg)
:strip_icc()/kly-media-production/medias/1411684/original/055157700_1479706948-Filipina.jpg)
:strip_icc()/kly-media-production/medias/5446038/original/003387300_1765871568-Lagidiskon__desktop-mobile__356x469_-_Button_Share.png)
:strip_icc()/kly-media-production/medias/1429293/original/037383000_1481114577-20161207--Laptop-Acer-Seharga-20-Juta-Jakarta-Angga-Yuniar-01.jpg)
:strip_icc()/kly-media-production/medias/5436096/original/000714800_1765162370-pexels-photo-1740919.webp)
:strip_icc()/kly-media-production/medias/4800209/original/049531900_1712900090-shutterstock_2286683503.jpg)
:strip_icc()/kly-media-production/medias/5442113/original/056839600_1765528039-Ilustrasi_smartphone__tablet__dan_laptop.png)
:strip_icc()/kly-media-production/medias/5441514/original/073297500_1765510798-Depositphotos_547538726_L.jpg)
:strip_icc()/kly-media-production/medias/5429431/original/070225500_1764586417-pexels-yankrukov-9072212.jpg)
:strip_icc()/kly-media-production/medias/5434294/original/022663100_1764921813-Depositphotos_209735730_L.jpg)
:strip_icc()/kly-media-production/medias/5424660/original/045643900_1764150556-IMG-20251126-WA0006.jpg)
:strip_icc()/kly-media-production/medias/5429377/original/065579200_1764583822-pexels-shkrabaanthony-5264912.jpg)
:strip_icc()/kly-media-production/medias/5428662/original/071057300_1764557835-Depositphotos_170438662_L.jpg)
:strip_icc()/kly-media-production/medias/5426355/original/026522800_1764302989-Depositphotos_189719384_L.jpg)
:strip_icc()/kly-media-production/medias/5415137/original/055240200_1763361833-pexels-muffinsaurs-1214212.jpg)
:strip_icc()/kly-media-production/medias/5446198/original/098057300_1765874639-WhatsApp_Image_2025-12-16_at_14.17.21.jpeg)
:strip_icc()/kly-media-production/medias/5444366/original/066553200_1765776632-voli_putra-5.jpg)
:strip_icc()/kly-media-production/medias/5445062/original/016041100_1765800488-voli_1-06.jpg)
:strip_icc()/kly-media-production/medias/5445045/original/000885700_1765799872-1.jpg)
:strip_icc()/kly-media-production/medias/5424878/original/051016300_1764163104-20251126AA_Latihan_Timnas_Indonsia_U-23-20.jpg)
:strip_icc()/kly-media-production/medias/5064831/original/028807900_1735032929-Ferdinand_Marcos_1986_inauguration.jpg)
:strip_icc()/kly-media-production/medias/2793708/original/061988500_1556758789-badai.jpg)
:strip_icc()/kly-media-production/medias/3631480/original/095248600_1636737886-simon-peel-ui-Bh1eegzQ-unsplash.jpg)
:strip_icc()/kly-media-production/medias/1767148/original/079301600_1510394981-20171111-Filipina-AP6.jpg)